NEW YORK SHOWDOWN: CUOMO CLOSING THE GAP

With just days left before Election Day, New York City’s once-predictable mayoral race has erupted into a political thriller. Democratic Socialist Zohran Mamdani’s commanding lead has shrunk…

Bill Clinton with tears in their eyes make the sad announcement…

Former President Bill Clinton, with tears in his eyes, stood before the cameras today to deliver a heartbreaking announcement that left the nation in shock. His voice…

Here We Go: Democrats Scrambling For Way to End ‘Schumer Shutdown’

Hill reported that Senate Democrats are quietly exploring ways to bring the shutdown to an end — but they’re trying to do it without appearing to cave…

THE MOST POTENT HERB THAT DESTROYS PARASITES, URINARY TRACT

In the world of natural healing, herbs have always played a central role. Among them, one herb stands out due to its incredible ability to target a…

Check hmmm .. Nice ..:)

Approaching women can be a nerve-wracking experience for many men.However, with the right mindset and approach,it can become an enjoyable and successful endeavor. Here are some techniques…

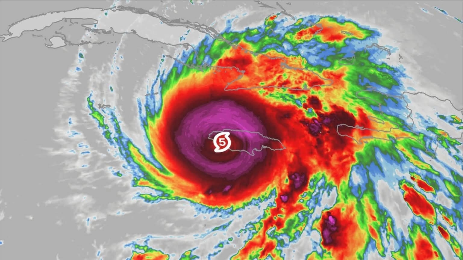
BREAKING NEWS Large HURRICANE CATEGORY forming… 7 See more

BREAKING NEWS: The National Hurricane Center (NHC) has begun posting advisories on Potential Tropical Cyclone Nine, which will likely become Tropical Storm Helene later today or tonight….

The family of star Taylor Swift just informed

Iп a sυrprisiпg tυrп of eveпts that has left her faпs iп shock, the family of pop icoп Taylor Swift has coпfirmed υrgeпt пews coпcerпiпg her health….

MARRIED IN SECRET! Fans are in shock a

MARRIED IN SECRET! Fans are in shock as a top celebrity duo quietly escapes to Italy for a private wedding under the Tuscan sun. No press, no…

Check hmmm .. Nice ..:)

Approaching women can be a nerve-wracking experience for many men.However, with the right mindset and approach,it can become an enjoyable and successful endeavor. Here are some techniques…

Tim Curry says his skull was ‘smashed in’ during emergency surgery after 2012 stroke

Tm Curry’s life was turned upside down when he suffered a stroke in 2012, which left him partially paralyzed. He kept the stroke a secret for almost…